(704) 662-6049
Sign Up Login

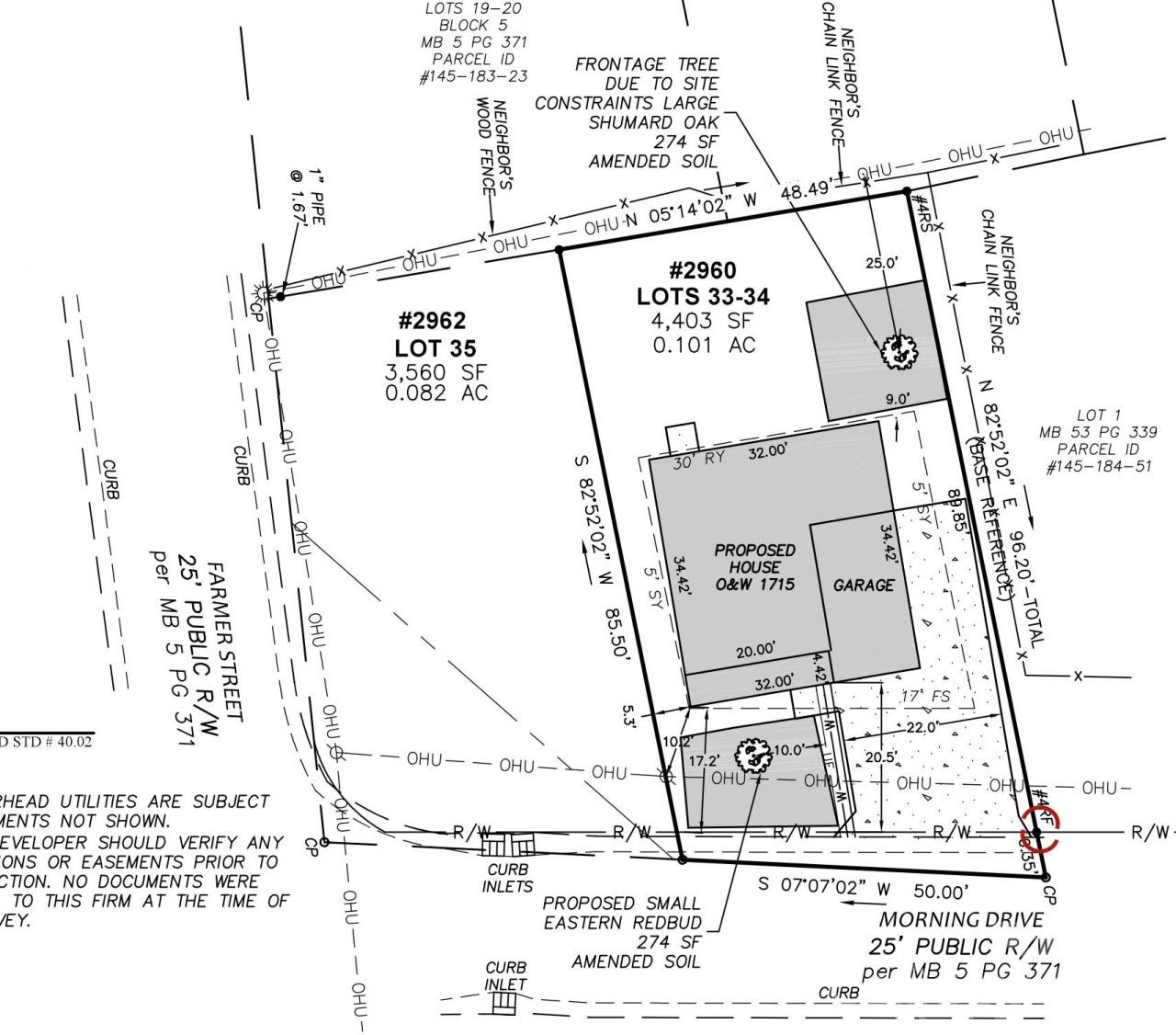
2960 Morning Drive, Charlotte, NC 28208

$99,900
  • 2960 Morning Drive, Charlotte, NC 28208 Main Photo

3 Total Photos [Click to View All]

Active
LOT SIZE 0.100 acres MLS#4334139
STATUSActive PROPERTY TYPELand - Residential SUBDIVISIONReid Park

Property Description

Shovel ready vacant lot in West Charlotte, just minutes from South End and Uptown. Full site plan approval by the City of Charlotte, allowing a buyer to move directly into construction without delay, providing significant upfront cost and time savings. Public water and sewer are available at the street, and the lot features fairly flat topography suitable a slab foundation, ideal for a smooth and efficient build. The surrounding area continues to see strong growth, with new construction homes in the neighborhood selling for $400k+. In addition to single family homes, the N1-C zoning district also allows duplex and triplex dwellings (subject to approvals). Excellent opportunity for a builder, investor, or first-time ground-up project.

2960 Morning Drive | MLS# 4334139

This land located at 2960 Morning Drive, Charlotte, NC 28208 is currently listed for sale with an asking price of $99,900. The property has approximately 0.10 Acres. Search Charlotte real estate on angelab.lakenormanrealty.com today.

Property Features

Property Type: Land - Residential
Lot Size: 0.10 Acres

Feature Descriptions

Days on Site: 65
Parcel#: 145-183-58
Sewer: Public Sewer, Tap Fee Required
Water: City, Tap Fee Required

Local Schools

High School: Unspecified
Middle School: Unspecified
Elementary School: Unspecified

Listed By / Shown By

Listed By

Agency Name: EXP Realty LLC Ballantyne
Agency Contact: 336-428-0230

Shown By

Agent Name: Angela Berrong
Agent Phone: (704) 662-6049
Agency Title: Lake Norman Realty

IDX logo

Estimate Your Payment

Estimated Payment

$ 560.85 per month $531.71 Principal & Interest $0.00 Property Tax (data not provided by mls) $29.14 Homeowner's Insurance

Change Payment Information

%
years/fixed
yearly
yearly (est.)
(Payments are an estimate and may vary by lender)
Disclaimer: All information deemed reliable but not guaranteed. All properties are subject to prior sale, change or withdrawal. Neither listing broker(s) or information provider(s) shall be responsible for any typographical errors, misinformation, misprints and shall be held totally harmless. Listing(s) information is provided for consumers personal, non-commercial use and may not be used for any purpose other than to identify prospective properties consumers may be interested in purchasing. Information on this site was last updated 03/14/2026. The listing information on this page last changed on 03/14/2026. The data relating to real estate for sale on this website comes in part from the Internet Data Exchange program of Delta Media Group MLS (last updated Sat 03/14/2026 12:00:54 AM EST) or Canopy MLS (last updated Fri 03/13/2026 11:57:35 PM EST) or Triad MLS (last updated Fri 03/13/2026 11:40:14 PM EST). Real estate listings held by brokerage firms other than Lake Norman Realty may be marked with the Internet Data Exchange logo and detailed information about those properties will include the name of the listing broker(s) when required by the MLS. All rights reserved.

Based on information submitted to the MLS GRID. All data is obtained from various sources and may not have been verified by broker or MLS GRID. Supplied Open House Information is subject to change without notice. All information should be independently reviewed and verified for accuracy. Properties may or may not be listed by the office/agent presenting the information.” Displays of minimal information (e.g. “thumbnails”, text messages, “tweets,” etc., of two hundred (200) characters or less) are exempt from this requirement but only when linked directly to a display that includes all required disclosures. For audio delivery of listing content, all required disclosures must be subsequently delivered electronically to the registered consumer performing the property search or linked to through the devices application.

Listings courtesy of Canopy MLS as distributed by MLS GRID.

DMCA Notice:
The Digital Millennium Copyright Act of 1998, 17 U.S.C. § 512 (the “DMCA”) provides recourse for copyright owners who believe that material appearing on the Internet infringes their rights under U.S. copyright law. If you believe in good faith that any content or material made available in connection with our website or services infringes your copyright, you (or your agent) may send us a notice requesting that the content or material be removed, or access to it blocked. Notices must be sent in writing by email to DMCAnotice@MLSGrid.com. “The DMCA requires that your notice of alleged copyright infringement include the following information:
(1) description of the copyrighted work that is the subject of claimed infringement;
(2) description of the alleged infringing content and information sufficient to permit us to locate the content;
(3) contact information for you, including your address, telephone number and email address;
(4) a statement by you that you have a good faith belief that the content in the manner complained of is not authorized by the copyright owner, or its agent, or by the operation of any law;
(5) a statement by you, signed under penalty of perjury, that the information in the notification is accurate and that you have the authority to enforce the copyrights that are claimed to be infringed; and
(6) a physical or electronic signature of the copyright owner or a person authorized to act on the copyright owner’s behalf. Failure to include all of the above information may result in the delay of the processing of your complaint.

Privacy Policy / DMCA Notice / ADA Accessibility

Login to My Homefinder

Pixel